







|
|

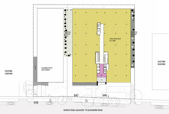
Recently constructed 545 Blackburn Road, Mount Waverley offers approximately 7,730sqm of high quality floor space over four levels; featuring large, efficient floor plates of up to 2,500sqm. The building incorporates the latest communications technology and energy efficiency design.
Leasing opportunities at this property are currently available at 545blackburn.com.au
|